ഫങ്-വോങ് ചുഴലിക്കാറ്റ് : ഫിലിപ്പീൻസിൽ അടിയന്തരാവസ്ഥ ; പത്തുലക്ഷം പേരെ ഒഴിപ്പിച്ചു

മനില : കൽമേഗിക്ക് ശേഷം മറ്റൊരു ശക്തമായ ചുഴലിക്കാറ്റിനെ നേരിടാൻ രാജ്യം ഒരുങ്ങുന്നു. ഫിലിപ്പീൻസിലെ പത്ത് ലക്ഷത്തോളം ആളുകളെ താമസസ്ഥലത്തുനിന്ന് ഒഴിപ്പിച്ചു. ദിവസങ്ങൾക്ക് മുമ്പ് വീശിയ കൽമേഗി ചുഴലിക്കാറ്റിൽ കുറഞ്ഞത് 224 പേർ കൊല്ലപ്പെട്ടു.ഫങ്-വോങ് എന്ന് പേരിട്ടിരിക്കുന്ന ചുഴലിക്കാറ്റ് വടക്കുകിഴക്കൻ ഫിലിപ്പീൻസിൽ നാശം വിതയ്ക്കാൻ തുടങ്ങി, വൈദ്യുതി ബന്ധങ്ങളെ താറുമാറാക്കി. രാജ്യത്തിന്റെ പല ഭാഗങ്ങളിലും ജനജീവിതത്തിന് ഭീഷണിയായേക്കാവുന്ന അപകടകരമായ സാഹചര്യം കണക്കിലെടുത്ത് കാലാവസ്ഥ കേന്ദ്രം മുന്നറിയിപ്പ് നൽകിയതിനെ തുടർന്നാണ് സുരക്ഷാസ്ഥാനങ്ങളിലേക്ക് ജനങ്ങളെ മാറ്റിയത്.
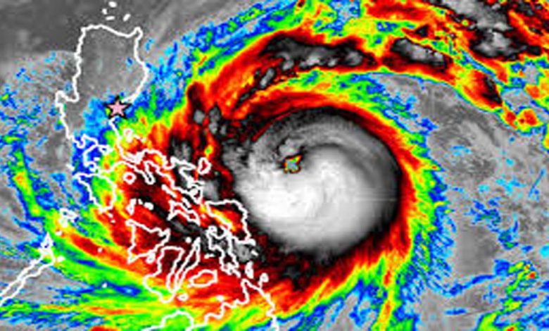
ഉവാൻ എന്ന ഫങ്-വോങ് ഞായറാഴ്ച രാത്രി അറോറ പ്രവിശ്യയിൽ കരതൊടുമെന്ന് ഫിലിപ്പീൻ അറ്റ്മോസ്ഫെറിക്, ജിയോഫിസിക്കൽ ആൻഡ് ആസ്ട്രോണമിക്കൽ സർവിസസ് അഡ്മിനിസ്ട്രേഷൻ (പഗാസ) അറിയിച്ചു. മണിക്കൂറിൽ 185 കിലോമീറ്റർ മുതൽ 230 കിലോമീറ്റർ വരെ വേഗത്തിൽ കാറ്റു വീശുമെന്ന് അധികൃതർ അറിയിച്ചു.
കാറ്റാൻഡുവാനസ്, കാമറൈൻസ് സുർ, അറോറ പ്രവിശ്യ എന്നിവയുൾപ്പെടെ തെക്കുകിഴക്കൻ, മധ്യ പ്രദേശങ്ങളിൽ അതി ജാഗ്രത നിർദേശമായ സിഗ്നൽ അഞ്ചാണ് നൽകിയിട്ടുള്ളത്. അതേസമയം മെട്രോ മനിലയും പരിസര പ്രവിശ്യകളും സിഗ്നൽ 3 ആണ് നൽകിയിട്ടുളളത്.1,600 കിലോമീറ്റർ (994 മൈൽ) വ്യാപ്തിയുള്ള മഴയും കാറ്റും തെക്കുകിഴക്കനേഷ്യൻ ദ്വീപുസമൂഹത്തിന്റെ മൂന്നിൽ രണ്ട് ഭാഗവും ഉൾക്കൊള്ളാൻ കഴിയുന്ന ഫങ്-വോങ് പസഫിക് സമുദ്രത്തിൽ നിന്ന് അടുക്കുകയാണ്. അതേസമയം ഫിലിപ്പീൻസിൽ ആഞ്ഞടിച്ച കൽമേഗി കൊടുങ്കാറ്റ് മൂലമുണ്ടായ നാശത്തിൽ മല്ലിടുകയാണ്. ചൊവ്വാഴ്ച മധ്യ ദ്വീപ് പ്രവിശ്യകളിൽ 224 പേരുടെ മരണത്തിന് കാരണമായ കൽമേഗി വിയറ്റ്നാമിലും നാശം വിതച്ചു, അവിടെ അഞ്ച് പേർ കൊല്ലപ്പെട്ടു.
കൽമേഗി മൂലമുണ്ടായ വ്യാപകമായ നാശനഷ്ടങ്ങളും ഫിലിപ്പീൻസിൽ ഉവാൻ എന്ന ഫങ്-വോങ്ങിൽ നിന്നുള്ള ദുരന്ത സാധ്യതയും കണക്കിലെടുത്ത് ഫിലിപ്പീൻസ് പ്രസിഡന്റ് ഫെർഡിനാൻഡ് മാർക്കോസ് ജൂനിയർ അടിയന്തരാവസ്ഥ പ്രഖ്യാപിച്ചു.ഫിലിപ്പീൻസിൽ മണിക്കൂറിൽ 185 കിലോമീറ്ററല്ലെങ്കിൽ അതിലും കൂടുതൽ വേഗത്തിൽ വീശുന്ന ഉഷ്ണമേഖലാ ചുഴലിക്കാറ്റുകളെ സൂപ്പർ ടൈഫൂണുകൾ എന്ന വിഭാഗത്തിലാണുള്ളത്, കൂടുതൽ തീവ്രമായ കാലാവസ്ഥ വ്യതിയാനങ്ങളുമായി ബന്ധപ്പെട്ട അടിയന്തരാവസ്ഥ വർഷങ്ങൾക്ക് മുമ്പ് സ്വീകരിച്ച ഒരു നടപടിയാണ്.
പസഫിക് സമുദ്രത്തിലെ ചുഴലിക്കാറ്റുകൾക്കും ചളിപ്രവാഹത്തിനും സാധ്യതയുള്ള തീരദേശ മേഖലയായ ബിക്കോൾ ഉൾപ്പെടെ വടക്കുകിഴക്കൻ പ്രവിശ്യകളിലെ ഉയർന്ന അപകടസാധ്യതയുള്ള ഗ്രാമങ്ങളിൽ നിന്ന് 9,16,860-ലധികം ആളുകളെ ഒഴിപ്പിച്ചു. രാജ്യത്തെ ഏറ്റവും സജീവമായ അഗ്നിപർവ്വതങ്ങളിൽ ഒന്നായ മായണിൽ നിന്നുള്ളതാണ് ഇത്. രാജ്യത്തെ ദുരന്ത പ്രതികരണ ഏജൻസികളുടെയും സൈന്യത്തിന്റെയും മേൽനോട്ടം വഹിക്കുന്ന പ്രതിരോധ സെക്രട്ടറി ഗിൽബർട്ട് ടിയോഡോറോ ജൂനിയർ ശനിയാഴ്ച ഒരു ടെലിവിഷൻ പ്രസ്താവനയിൽ ഫങ്-വോങ്ങിന്റെ വിനാശകരമായ പ്രത്യാഘാതങ്ങളെക്കുറിച്ച് മുന്നറിയിപ്പ് നൽകി.



